暑い暑い日が続いていますね。「公園で涼しさを感じる場所といえば・・・帰真園!」といざ出発。
帰真園を入るとすぐに水音が聞こえてきました。多摩川の源流から二子玉川までの自然がテーマの帰真園、上流から池まで続く水の流れが目にも耳にも涼やかです。
エゴノキの実がたくさんついていました。実を包んでいる皮にはサポニンという成分が含まれていて、水と一緒にシャカシャカ振ると泡が立ち、シャボン遊びもできる楽しい実です。
コナラの実がだんだん大きくふくらんで、帽子からちょっぴり中が見えてきました。季節が進むとだんだん大きくなり、「どんぐり」の形になってきます。
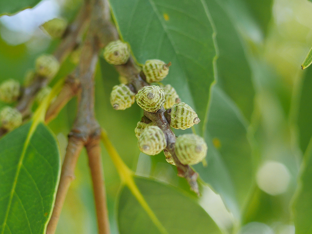
目を引く大きなスダジイも小さなしましまの実をつけ始めました。秋に実ると食べてもおいしいどんぐりの仲間です。
丸がたくさん集まったようなこちらの実はヤマボウシ。秋になると赤く熟します。実は鳥たちの好物、秋の葉の紅葉も美しい、一年中楽しめる木です。良かったら春夏秋冬と見てみてくださいね。
ザクロが実をつけていました。鮮やかな赤色の花が終わるとできる実、これからだんだん色づいていきます。
帰真園の入り口にあるハナモモの実です。花を楽しむためのモモと言われますが、もう少し熟すと香りも楽しむことができるそうなので、ぜひ嗅いでみてください。
園内は樹々が日差しをさえぎってくれ、思いの外暑さは感じず楽しく歩くことができました。帽子と飲み物を持って、朝の帰真園散歩にいらしてくださいね。(みほねえ)












