梅雨入り直前、暑い日が続いていますね。しっかり帽子をかぶって、公園をめぐってきました。
雨上がり、陽射しぴかぴかの良いお天気です。
キタキチョウが葉っぱのかげでひとやすみ。
あ、ナミテントウみつけた!黒地に赤いもようが遠目にも映えますね。
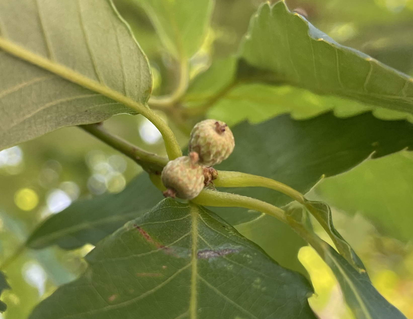
こちらはドングリの仲間コナラの赤ちゃん(小さな実)。まだ「ぼうし」だけですね。大きくなるのを観察中です。
さて、お花も・・・と見ると、いま目を引くのはアジサイです。二子玉川公園は各所にアジサイが植えられていて、まだしばらく楽しめそうです。
常緑ヤマボウシが咲いていました。真ん中の丸いところが花で、白い花のようなところは花のつけ根の葉(総苞片)です。合わせて綺麗ですね。
キンシバイの黄色も園内でぱっと華やかです。
実のようにもみえるこちらは、ザクロのつぼみです。どんな花が咲くかな?と楽しみに見守っていこうと思いつつ一枚。
最後に帰真園の池で涼を感じてお散歩の締めとしました。
これから迎える梅雨。雨の風景を楽しめる二子玉川公園もぜひお越しくださいね。(みほねえ)












