ゴールデンウイークを過ぎて、「夏がきた?!」というような日差しの日が増えてきましたね。
まだ柔らかい朝の陽ざしを浴びながら、公園を歩いてきました。
ぐんぐん伸びる木々たち。風がそよぐ音が聞こえてきます。
雨あがりの水たまりで スズメが水浴びをしていました。
気持ちがよさそうですね。
暑くなってくると、園内の水場で水浴びをする野鳥に出会えます。-コピー-300x225.jpeg)
草広場のセイヨウタンポポには、たくさんのモンシロチョウが来ていました。
チョウに会いたくなったら、ナチュモコガーデン、こども花壇もおすすめです♪
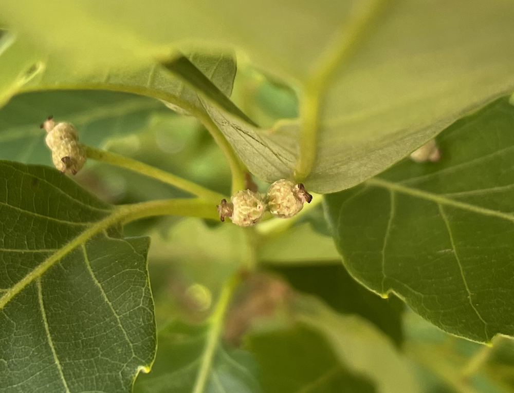
園内のあちこちにあるコナラ。
よーく見るともうちいさな実が・・・♪
秋にはぷっくりしたドングリになる予定です。
ちいさなピンクの花が愛らしい帰真園のマユミ。
秋に楽しめる四角い薄紅色の実も魅力的です。
ウメの実もふくらんできました。
よくみたら、ナミテントウの幼虫が葉っぱのかげに!
いつもは通りすぎてしまう道も、すこしゆっくり歩いてみると
たくさんの生きものに出会えたり、季節の変化を感じられました。
カメラを手にのんびり歩き、おすすめです!
何か見つけたら、ぜひビジターセンタースタッフにも教えてくださいね。
(みほねえ)





cut-コピー-300x230.jpg)
-コピー-300x225.jpeg)

