日差したっぷり、気温の高い日が増えてきますね。ちょっと暑いかな…と思いながら出かけたら、公園内には涼を感じる場所がたくさんありました。
出発はビジターセンター。風も抜けて、公園も一望できる気持ちの良い場所にあります。
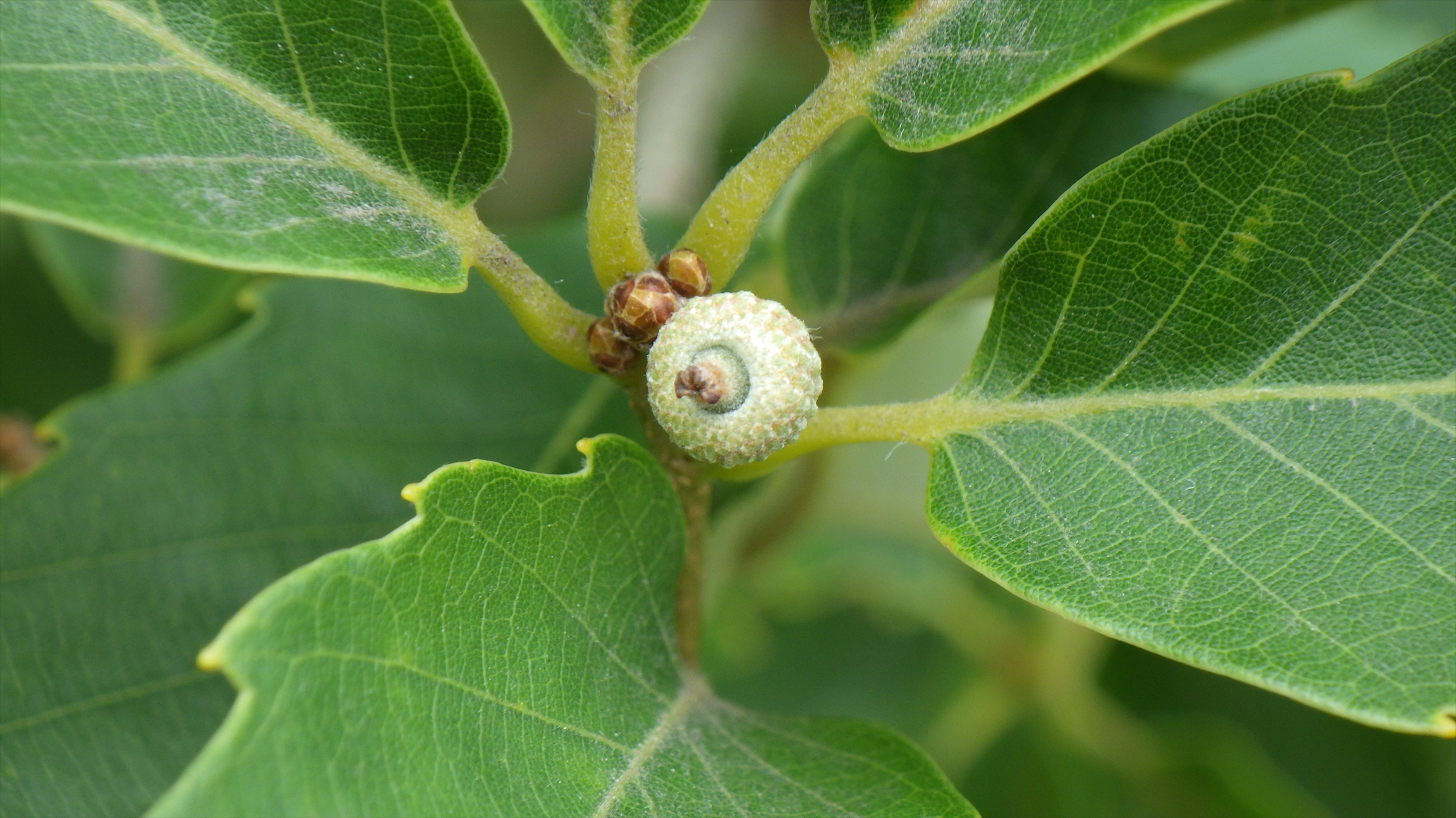
ゆっくり歩いていたら、あれ、ちいさな実。
コナラの赤ちゃんです。秋になると、ぷっくり可愛いドングリになります。
ショウジョウトンボに出会いました。オスは真っ赤なこのトンボ、園内ではこの時期に見かけます。
カフェの前のベンチで、多摩川の風を感じながらひと休み。園内にはあちこちに木かげもあるので、一休みにおすすめです。

帰真園にきました。
水音に惹かれて行ってみると、水が勢いよく流れていました。多摩川の源流からの風景を模しているのだそう。水しぶきが目にも涼しく、気持ちが良いですね。
これから暑い日が続きますが、帽子と飲み物を持って、すずしい場所をさがしながらのお散歩を楽しみませんか。(すずき)



